Dies ist eine alte Version des Dokuments!
Inhaltsverzeichnis
Vertragskalkulation
|
1.Vorbereitung
1.1 Konfiguration
Einstellung der Konfiguration 339 auf die Einstellung 5 Vertragskalkulation intern.
|
1.2 Einstellungsmöglichkeit am Mandanten
Für einen einheitlichen Aufschlag für Folgeklicks, können die Werte hier vordefiniert werden.
1.3 Einstellungsmöglichkeit am Grundartikel der Maschine
Für einen vordefinierten kalkulatorischen Klick-EK können Sie am Grundartikel der Maschine den Wert im Reiter TKD vordefinieren.
1.4 Erstellen eines Textbausteins
Als Kopiervorlage können Sie folgenden Text nutzen:
|
Alle gültigen Platzhalter finden Sie auch hier.
2. Vertragskalkulation
2.1 Positionen im Vorgang
Die zu kalkulierenden Maschinen können für die Kalkulation im Vorgang in einer Position aufgenommen werden. Für die spätere Vereinzelung sollten folgende Einstellungen beachtet werden.
Am Abschnitt kann für die spätere Vereinzelung die Bezeichnung für die einzelnen Positionen hinterlegt werden. Diese werden pro gewünschtem Abschnitt durch Komma getrennt. Dabei muss die Anzahl der durch Komma getrennten Bezeichnungen mit der Anzahl der Maschinen übereinstimmen, sonst entstehen leere Ordner.
Jetzt wird mittels Modulfunktion die Vertragskalkulation, welche entweder im oberen Menüband unter Modulfunktion oder in der rechten Leiste zu finden ist, als separates Fenster geöffnet:
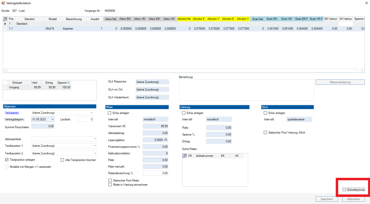
Hier können Sie jetzt alle weiteren Einstellungen treffen. Die gelb gekennzeichneten Felder sind bereits durch Ihre Voreinstellungen an Mandant und Maschine gefüllt. Diese können Sie jetzt manuell noch bearbeiten. Es öffnet sich ein Fenster in dem noch mal die generellen Parameter des Vertrages angezeigt werden. Hierbei wird auf die Daten aus der Vertragskalkulation zurück gegriffen.
Um die Mengen zu vereinzeln, muss hier der Haken entsprechend gesetzt werden. Textbausteine der Art Vertragskalkulationstext können hier ausgewählt werden. Die Erlöse werden aufgrund des oberen Grids bereits vorberechnet, manuelle Eingaben z.B. Erhöhungen der Raten sind ebenso möglich. Außerdem wird hier das Intervall eingestellt. Die Eingaben sind nach dem Speichern an den Maschinenpositionen gespeichert und werden bei erneutem Aufruf der Kalkulation wieder angezeigt. Die Positionen werden direkt nach dem Schließen der Vertragskalkulation vereinzelt, sofern der Haken gesetzt wurde. In der Position können jetzt die Maschinen zugeordnet werden. Die kalkulierten Daten werden bei der Anlage des Vertrages aus dem Vorgang übernommen. Sollen mehrere Maschinen aufgenommen werden, sind diese zu markieren.
2.2.1 Hinweis
Wird in der Vertragskalkulation der Haken auf Schreibschutz gesetzt, so werden bei nachfolgenden Aufrufen die Werte nicht mehr anhand des Auftrages aktualisiert. Zusätzlich sind keine Eingaben in der Maske mehr möglich.
2.2 Extra Raten
Im Bereich Extra Raten können neben der Wartungspauschale weitere Pauschalen hinterlegt werden. Zum Beispiel, wenn Fleet (MPS) über eine eigene Pauschale in den Vertrag und die Vertragskalkulation aufgenommen werden soll. Hierzu muss ein entsprechender Erlösartikel angelegt werden. Der Verkaufspreis dieses Artikels wird als Verkaufspreis vorgeschlagen, kann aber in der oberen Tabelle mit der Maschinenauflistung in der entsprechenden Spalte (Spaltenname = Erlösartikelnummer) abgeändert werden. Der zur Ertragsberechnung herangezogene Einkaufspreis ist der Einkaufspreis des Erlösartikels.
In der Tabelle mit den Gesamtwerten wird eine weitere Zeile für diesen Erlös angezeigt. Bei Anlage eines Vertrages wird für diesen Erlös unter Zuhilfenahme des Erlösartikels ein oder zwei weitere Wartungspauschalen angelegt.
Um die Vertragstexte zu erweitern, können die Platzhalter „#WartungExtra < n > Name#“ (Bezeichnung des Erlösartikels) und „#WartungExtra < n > Rate#“ verwendet werden, wobei für < n > die Werte 1 und 2 zulässig sind.
2.3 Ablöse / Ablöseartikel
Um eine Ablöse in die Vertragskalkulation einzubeziehen, benötigen Sie im ersten Schritt einen Ablöseartikel, den Sie über das Modul Artikel unter Stammdaten anlegen.
In der Vertragskalkulation im Vorgang im Abschnitt „Allgemein“ können Sie diesen Ablöseartikel einfügen bzw. auswählen.
Die Ablöse wird dann als interne Position in den ersten Abschnitt der Positionen aufgenommen. Damit wird die Ablöse als zusätzliche Kosten in den ersten Abschnitt eingerechnet und schmälert dort entsprechend den Rohertrag.
2.4 Vertragsanlage mit den Daten der Vertragskalkulation
Aus einem Vorgang mit Vertragskalkulation kann mit wenigen Klicks ein Vertrag angelegt werden. Hierzu sind in der Positionsliste die betreffenden Maschinen zu markieren und mit Rechtsklick der Punkt Vertrag anlegen auszuwählen.
Bei erstmaliger Ausführung müssen die Erlösartikel pro Erlösart eingetragen werden. Diese sind bei erneuter Ausführung der Funktion dann bereits vorbelegt.
Steht im Feld Vertragsnummer bereits eine Nummer, so hat der Kunde des Auftrags bereits einen Vertrag und dieser würde erweitert werden. Möchten Sie das nicht, können Sie die Nummer mit 0 überschreiben. Dann entsteht ein neuer Vertrag mit einer neuen Vertragsnummer.
Haben sie verschiedene Modelle in der Vertragskalkulation mit verschiedenen Verkaufspreisen für Folgeklicks, dann wird bei der Vertragsanlage der Verkaufspreis der Folgeklicks für den Pool unter Berücksichtigung der hinterlegten Freikopien gemittelt.










